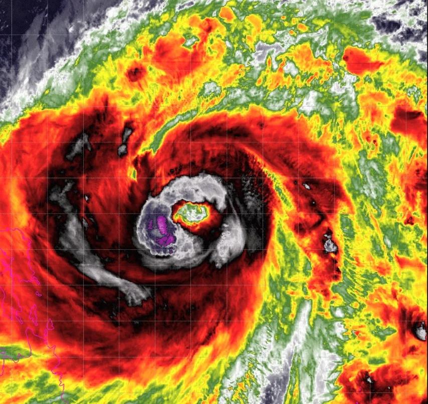
台风凤凰爆发增强中,下周登陆影响广东福建浙江上海台湾等目前位于菲律宾以东洋面台风凤凰,强度来到强台风级14级,强度还将继续增强,最强可达超强台风级17级或以上。路径方面变化不大,稳定预计在明晚或10日凌晨在菲律宾吕宋岛岛登陆穿过,之后进入南海,朝西北偏北方向移动进入南海东北部海面,强度缓慢减弱12日逐步转向东北偏北方向移动,向台湾福建一带靠近,并在台湾西部沿海一带登陆,预计登陆强度在强热带风暴级。受台风凤凰影响12~13日,广东东部,福建沿海,浙江东部沿海,上海有中到大雨,局部暴雨。台湾有暴雨到大暴雨,局部特大暴雨天气 台风




