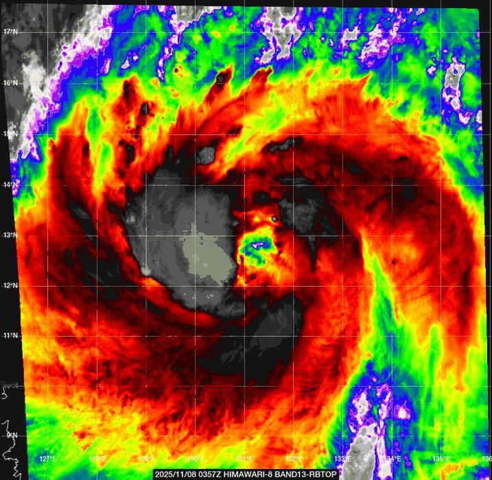
已经达到14级,这台风身体太大了,看看拍摄的画面。 按照趋势,我国认为接下来它将

自然预警瞭望 2025-11-08 16:15:27

已经达到14级,这台风身体太大了,看看拍摄的画面。 按照趋势,我国认为接下来它将冲击17级以上超强台风,整个菲律宾可能都难以避开它的影响了。登陆时候预计都是在17级左右,有点吓人。 台风

0 阅读:34
自然预警瞭望

自然预警瞭望

感谢大家的关注